Результатов: 16

47-летняя украинская актриса во второй раз стала мамой: фото и подробности

В семье украинского актера и военнослужащего Владимира Ращука произошло радостное событие - его супруга, актриса Виктория Билан-Ращук родила второго ребенка. rbc.ua »

2025-10-6 10:18

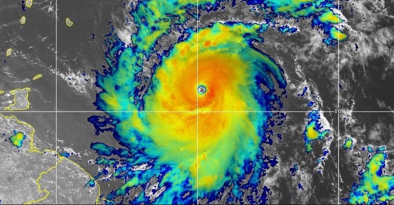
Самый ранний и разрушительный ураган в истории показал будущее Земли: оно совсем не радостное

Исследователи считают, что столь раннее появление урагана высшей категории является ярким примером того, что ждет в будущем нещадно нагревающуюся планету. focus.ua »

2024-7-5 15:24

"Из 86 человек осталось 7": оккупанты-"оптимисты" записали радостное видео с Херсонщины (видео)

Россияне собрались за праздничным столом и невзначай проговорились о безумных потерях ВС РФ на левом берегу Днепра. focus.ua »

2023-11-30 19:11

Собачка застряла головой в бутылке: радостное видео спасения

В Мексике люди случайно увидели собаку, застрявшую головой в бутылке. Песик сам пришел за помощью к людям и жалобно скулил. Полный текст новости 24tv.ua »

2021-10-17 17:20

Политтехнолог: лицо Шевченко уже не такое радостное, как в 2019-м, когда он горло рвал за Зеленского

Как информирует Replyua.net, украинский политтехнолог, журналист Владимир Горковенко пишет у себя в Facebook, слушая уже пятый день подряд на всех телеканалах «плач Александра Шевченко» о том, как власть Владимира Зеленского забирает у него победу на 87 округе, не хватает одного предложения, которое напрашивается само собой. replyua.net »

2021-4-3 08:07

В семье Ротару случилось радостное событие: все подробности

Племянница украинской певицы Софии Ротару, которая пошла по стопам знаменитой тети, 29-летняя Sonya Kay (настоящее имя – София Хлябич) в воскресенье, 7 июня вышла замуж. На торжестве среди гостей присутствовала и сама Заслуженная артистка Украины. inforesist.org »

2020-6-8 13:51

Овнов ждет радостное известие, а у Львов возможны проблемы со здоровьем — гороскоп от Павла Глобы на 6 апреля

Понедельник не принесет особых перемен для многих знаков зодиака. Атмосфера этого дня будет мало отличаться от той, которая была в воскресенье. Некоторым знакам зодиака звезды советуют провести день в семейном круге. ukranews.com »

2020-4-5 21:45

Кум Путина впервые прокомментировал радостное приветствие с главой СБУ

Нардеп от "Оппозиционной платформы - За жизнь" и кум главы Кремля Виктор Медведчук наконец объяснил представителям медиа свое радостное приветствие с главой... news.online.ua »

2020-2-21 19:30

"В звездном полку прибыло", - в семье Пугачевой отмечают радостное событие

Звездная семья знаменитой Примадонны российской эстрады Аллы Борисовны Пугачевой увеличилась еще на одного человека. Вся Сеть поздравляет их с этим радостным событием. dialog.ua »

2020-1-29 14:17

В охваченной пожарами Австралии ливень встретили с танцами: появилось радостное видео

В сети показали свежее видео из Австралии, где уже больше месяца горят леса, сегодня жители дождались дождя. apostrophe.com.ua »

2020-1-6 12:10

"Лучшее украшение девушки - это животик": У Ольги Сумской радостное событие - скоро родится ребенок

Семья украинской "Роксоланы" станет на одного человека больше. Старшая дочь Сумской Антонина сообщила о второй беременности. Несмотря на слухи о разводе с мужем, начинающая актриса Антонина Паперная показала округлившейся животик. dialog.ua »

2020-1-3 20:58

«Это дорога со взлетами и падениями»: Захарова назвала самое радостное событие прошлого года

Официальный представитель Министерства иностранных дел России Мария Захарова назвала самое радостное событие ушедшего года. По информации RT, дипломат считает самым важным и радостным событием прошлого года освобождение россиянки Марии Бутиной, replyua.net »

2020-1-1 12:34